-
-
Opublikowano: poniedziałek, 31 marzec 2025 15:12
Wójt Gminy Przybiernów ogłasza I nieograniczony przetarg ustny na zbycie niezabudowanych działek:
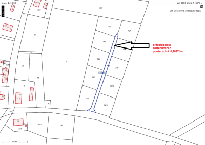
- nr 74/2 o pow. 0,1427 ha obr. Łoźnica, gm. Przybiernów, cena: 50 000 zł + 1476 zł brutto ustanowienie służebności;
- nr 74/3 o pow. 0,1427 ha obr. Łoźnica, gm. Przybiernów, cena: 48 000 zł + 1476 zł brutto ustanowienie służebności;
- nr 74/4 o pow. 0,1427 ha obr. Łoźnica, gm. Przybiernów, cena: 48 000 zł + 1476 zł brutto ustanowienie służebności;
- nr 83/8 o pow. 0,476 ha obr. Czarnogłowy gm. Przybiernów, cena: 25 000 zł + 1845 zł brutto ustanowienie służebności
Przetargi odbędą się w dniu 28 kwietnia 2025 r. od godz. 12:00-15:00
Pełna treść ogłoszenia o przetargu znajduje się na stronie internetowej Urzędu Gminy w Przybiernowie www.bip.przybiernow.pl oraz na tablicy ogłoszeń w Urzędzie Gminy w Przybiernowie. W przypadku pytań – kontakt telefoniczny 914667545 oraz e-mail: nieruchomosciTen adres pocztowy jest chroniony przed spamowaniem. Aby go zobaczyć, konieczne jest włączenie w przeglądarce obsługi JavaScript..
